
Bowling Green keeps growing. New housing, updated campuses, and refreshed commercial sites keep popping up across the city. Some of these projects sit on land that already has buildings, roads, and years of changes. That’s where things get tricky.
A fresh build on open land feels simple. A redevelopment project is not. Old layouts, hidden features, and outdated records can cause real problems. That’s why survey mapping for redevelopment projects plays a key role before anyone starts design or construction.
Why Redevelopment Sites Are Harder to Work With
Empty land gives you a blank slate. Redevelopment sites don’t.
You’re working around what’s already there. That includes parking lots, sidewalks, utilities, and structures that may not match old plans. Over time, owners make changes. Some of those changes never make it onto official drawings.
As a result, the site you see on paper may not match the site in real life.
That gap creates risk. Designers rely on accurate information. If they don’t have it, mistakes show up later, often during construction when fixes cost more. Getting accurate site data before design begins can prevent many of these issues early.
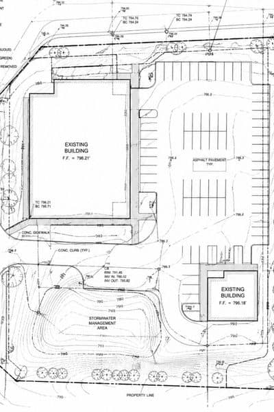
What Survey Mapping Shows Before Work Begins

Survey mapping gives a clear picture of what the site really looks like today. That becomes especially important on older properties, where teams need to understand what’s actually there before moving forward with redevelopment. In many cases, this comes down to mapping existing site conditions for redevelopment so nothing gets missed early on.
It shows where buildings sit, how pavement flows, and how different parts of the property connect. It also captures elevation changes across the land. Even small height differences can affect how a project moves forward.
Access points matter too. Entrances, exits, and drive lanes shape how the site functions day to day. When all of this is laid out clearly, the design team can plan with confidence.
Without that level of detail, people end up guessing. And on a redevelopment project, guessing usually leads to problems later.
How Survey Mapping Helps Design Teams Get It Right
Design starts on paper, but construction happens in the real world. When those two don’t match, delays follow.
Survey mapping closes that gap early.
Architects and engineers use the mapped data to build plans that fit the actual site. They can place new structures where they belong. They can adjust layouts based on real spacing, not assumptions.
That saves time. It also helps teams avoid costly design changes during construction, which often come from missing or incorrect site details.
Think about a parking area that looks flat on an old plan. In reality, it slopes more than expected. If no one catches that early, the design may need changes after work starts. That leads to extra cost and stress.
Accurate mapping helps avoid that situation.
Why Timing Matters More Than Most People Think
Many property owners wait too long to order survey mapping.
They start design first. Then they realize the site data is incomplete. Now they have to pause, fix the information, and update the plans.
That delay could have been avoided.
Survey mapping should happen at the very start. Before design. Before budgets get locked in. Before plans go out for review.
Early data leads to better decisions. Late data leads to rework.
How Survey Mapping Helps Move Projects Through Approval
Every redevelopment project goes through a review process. Plans must match the actual site. If they don’t, revisions follow.
Accurate survey mapping helps plans pass review faster.
Clear site data reduces confusion. Review teams can see how the design fits the property. That cuts down on questions and corrections.
In the Bowling Green area, where projects keep coming, faster approvals make a real difference. Time saved during review often means the project starts sooner.
What Happens When Mapping Is Incomplete
Skipping or rushing survey mapping causes problems.
Design teams may place features where they don’t belong. Contractors may run into site conditions that no one expected. Crews may need to stop work to fix layout issues.
All of that costs money.
Picture this. A team starts building based on a plan that looks correct. Then they find a section of the site that doesn’t match. Now they need to adjust the layout in the field. That slows everything down.
These issues don’t come from bad design. They come from bad or missing site data.
Why This Matters in Bowling Green
Bowling Green has seen steady growth. Projects often take place on land that has already been used in some way. That adds layers of complexity.
A redevelopment project near Western Kentucky University is a good example of this trend. Large sites like that don’t start from scratch. They build on top of existing conditions.
That makes accurate mapping even more important.
Property owners and developers in the area face tight timelines and rising costs. Mistakes hit harder now. Good data at the start helps protect the project from those risks.
Choosing the Right Team for Survey Mapping
Not every survey team works the same way. Redevelopment projects need people who understand how messy an existing site can get.
In Bowling Green, property owners usually look for teams that handle survey mapping on active or previously developed sites, not just open land. That kind of experience matters, because these properties come with layers of past changes that don’t always show up on old plans. In many cases, they end up working with survey mapping services once they see how much accurate site data can affect the entire project.
Clear deliverables matter just as much. Architects and engineers need mapping they can actually use, not something they have to figure out on their own. When the data is clean and easy to read, the whole project moves faster.
Experience also plays a big role. A team that has worked on redevelopment projects before will know what to check, what to question, and what could cause problems later.
Why Survey Mapping Should Be Your First Step
Redevelopment projects come with more unknowns than new builds. That’s just the reality.
Survey mapping reduces those unknowns early. It gives everyone working on the project the same clear view of the site. That leads to better planning, fewer surprises, and smoother progress.
Skipping this step may seem like a way to save time. In most cases, it does the opposite.
If you’re planning a redevelopment project, getting accurate survey mapping early can make the entire process smoother and more predictable.




